Site Logo

Habitat holds ceremonial groundbreaking at new Carlsborg property

Published 1:30 am Wednesday, January 8, 2025

tsr
1/4
tsr
Photo courtesy Habitat for Humanity of Clallam County
Stakeholders and community leaders stand together for the ceremonial groundbreaking of Habitat for Humanity of Clallam County’s Lyon’s Landing property in Carlsborg on Dec. 23.
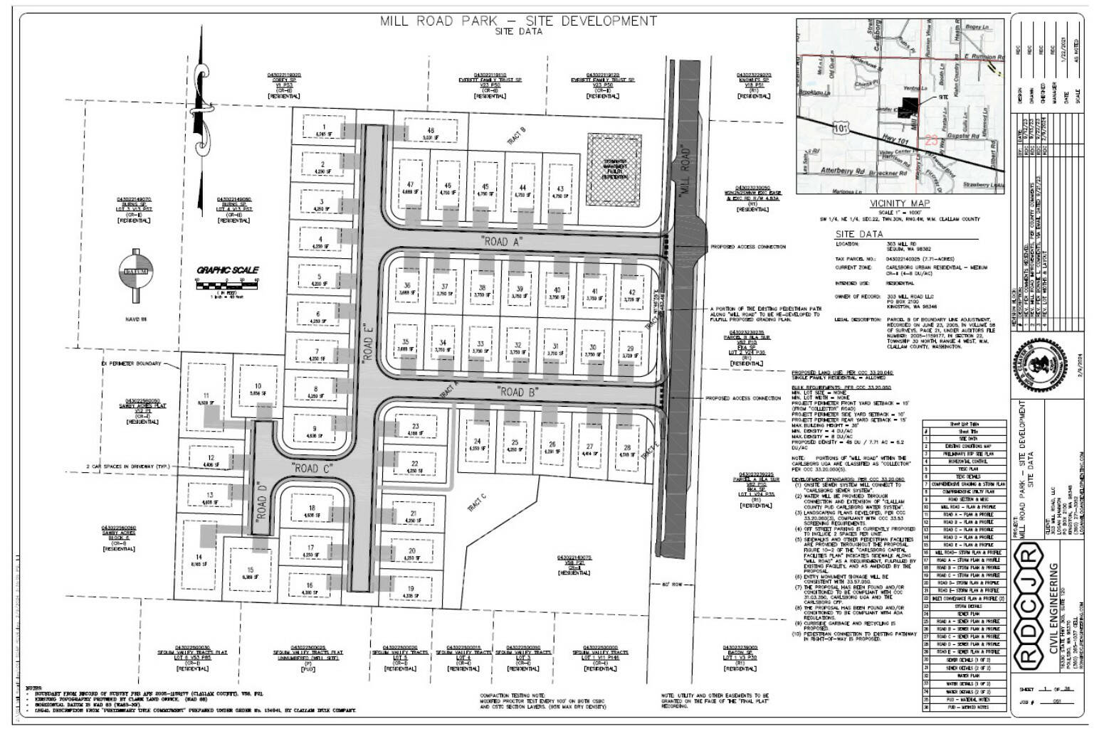
Image courtesy Habitat for Humanity of Clallam County/ This preliminary site plan for Habitat for Humanity of Clallam County’s Lyon’s Landing shows a potential 45 homes going on 7.7 acres at 303 Mill Road in Carlsborg. Habitat leaders purchased the property in late October for $1.93 million with $854,000 bequest from Frances J. Lyon.
Photo courtesy Habitat for Humanity of Clallam County
Stakeholders and community leaders stand together for the ceremonial groundbreaking of Habitat for Humanity of Clallam County’s Lyon’s Landing property in Carlsborg on Dec. 23.

Nearly two months after signing off on a purchase for 7.7 acres in Carlsborg, Habitat for Humanity of Clallam County representatives held a groundbreaking on Dec. 23 for the new space named Lyon’s Landing.

Chief Executive Officer Colleen Robinson said they plan to build 45 homes ranging from 1,200-2,000 square feet each at 303 Mill Road.

Habitat representatives purchased the space from Logan and Development Inc. of Kingston for $1.93 million in October. Its name honors donor Frances Lyon who bequeathed more than $854,000 to the agency.

Clallam County commissioners also agreed on Dec. 31 to grant the agency $800,000 through an economic opportunity 0.09% county sales tax for affordable workforce housing infrastructure or facilities where individuals’ income is between 80 percent and 120 percent of the area median income (AMI).

“We’re super excited,” Robinson said. “I can’t wait to start building houses.”

By offering different size houses with up to four bedrooms, her hope is for it to be a multi-generational community.

Habitat staff set a goal to have items such as irrigation and corresponding ditches squared away by the end of the month before moving onto construction permitting through Clallam County.

Much of the preliminary site planning was done by the previous owner, Robinson said.

Once construction begins on the homes, she anticipates them being built 10 at a time.

“That’s still over four years to complete it,” Robinson said. “We need housing now.”

Future homeowners will contribute “sweat equity” during construction of each home with Robinson saying 20% of the homes will be available for households earning up to 120% of Clallam County’s area median income (AMI) and the other 80% of homes will be available for homes at 80% or less of the AMI.

Robinson said they’ve hired JKT (Jamestown S’Klallam Tribe) to lead construction with work on foundations going through 2025 and families starting to move into homes sometime in 2026.

Habitat’s Brownfield Road project in the City of Sequim remains in the permitting process, Robinson said.

Estimated to offer about 50 homes, the property is now proposed to be 44 duplexes and four-plexes, she said previously.

Its application was set to go before the city’s hearing examiner in early 2024 but was put on hold, and city staff said a new application was filed in late 2024 and was tentatively going back to the hearing examiner early this year.

That project has received many grants, including a $2 million Connecting Housing to Infrastructure Program (CHIP) grant through the Washington State Department of Commerce to help fund utility infrastructure costs for the project.

No construction date has been set for Brownfield Road, Robinson said.

For more information about Habitat for Humanity of Clallam County, visit habitatclallam.org or email to colleen@habitatclallam.org.