Council approves development of 82 homes off West Sequim Bay Road
Published 1:30 am Wednesday, April 13, 2022
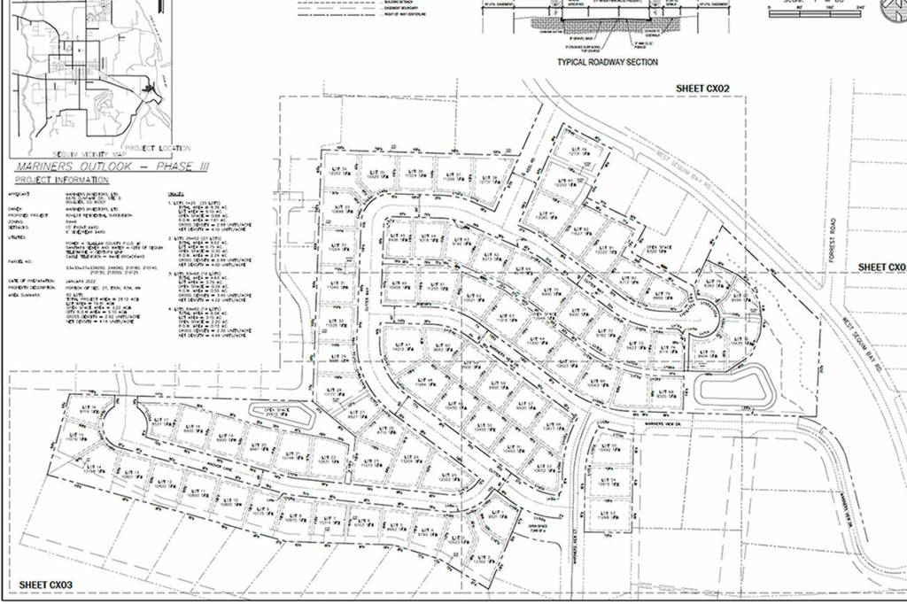
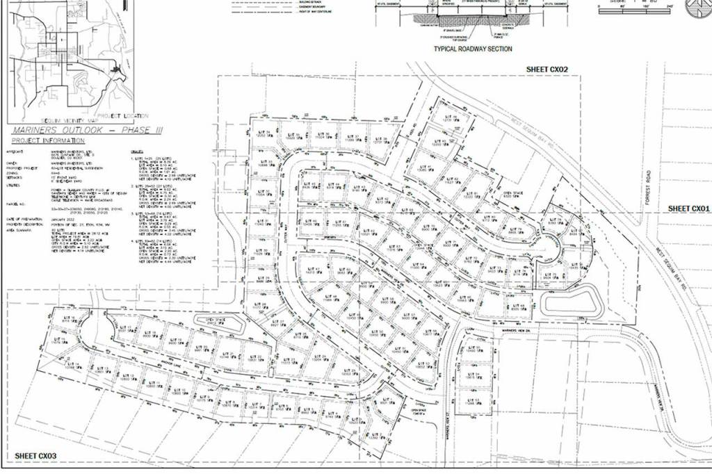
The developer of an 82-lot, single-family home development along West Sequim Bay Road got approval from Sequim city councilors to start construction in late March.
Mariner Outlook III’s owner Andrew Unkefer of Boulder, Colo., plans to build the homes on 28.12 acres in four phases, with 25 homes to be built in the first phase.
Unkefer told councilors “it’s been an extraordinarily serious effort” to get the project before them and he was confident the plan meets and exceeds city codes.
He said his hope would be to start/build as many as 25 homes per year, but like many developers that total would depend on lumber prices and supply chain issues.
“It’s a real materials issue,” Unkefer said.
Sequim city councilors approved the project 6-0 on March 28, with deputy mayor Brandon Janisse recusing himself for having prior conversations with Unkefer and residents about the project.
One of the city planning department’s many project conditions mandates that phase one is limited to nine homes until a second access road point is built onto West Sequim Bay Road — Clallam County Fire District 3 officials authorize that it is safe to proceed without it until the project’s second phase.
The project’s current access points comes off West Sequim Bay Road onto Mariner’s View Drive, and the second access point, known as Keel Road, would be required northwest of Mariner’s View Drive before phase two begins, pending the fire district’s approval.
Sequim senior planner Tim Woolett said they haven’t heard from the fire department yet but he anticipates hearing a decision soon.
At the southwestern portion of the property is a tentative emergency access into the Cedar Ridge development that would need approval between its homeowners association and Unkefer, according to city staff.
Mayor Tom Ferrell told Unkefer he doesn’t feel West Sequim Bay Road is very wide or safe, and that he anticipates more traffic issues coming as development grows.
City engineer Don Ctibor said the developer’s traffic impact analysis study revised this year from a 2018 analysis was acceptable under city and state guidelines.
“Once more development occurs out there, we need to look at expanding the road and widening it,” Ctibor said.
Neighbors and nearby residents detailed concerns to city staff about the project’s road accessibility, flow, vehicle speeding and visibility, as well as issues regarding stormwater runoff, sewer capacity and more.
City staff said the applicant’s required studies, including stormwater, complied with city and state guidelines.
Woollett states in the city’s staff report that there were no wetlands found on the property, it’s not in a flood plain, and the site has adequate water pressure.
Ctibor told councilors the current sewer system will handle the entire project and that city staff are exploring grants for a nearby Forest Road sewer lift station to handle future development.
He said in discussions with nearby Cedar Ridge residents that water does not infiltrate the soil well, but the stormwater system design has a flow channel to avoid impacting residents downhill from the development.
Tracy Gudgil, project lead with Zenovic and Associates said the system is designed for a 100-year storm.
