Proposed mining operation irks Happy Valley Road neighbors
Published 1:30 am Wednesday, August 9, 2023
Some residents near Happy Valley Road and Bell Hill are concerned about environmental, living and safety conditions of a possible mining operation on a vacant gravel lot.
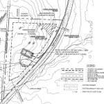
A conditional use permit proposing to mine a gravel lot was submitted by John David Kirner on Feb. 2 to “clear land and mine basalt rock, crush and process rock for sale.”
According to Clallam County records, the operation will run from 7 a.m.-5 p.m. Monday-Friday. Rock is expected to be blasted, crushed and processed twice a week. Drilling and blasting is expected once a month.
Once mining is complete “a portion of the site may be developed for use as a single-family residence,” according to an environmental checklist filed with Clallam County.
A public hearing about the project with the Clallam County Hearing Examiner is scheduled for 1 p.m. Thursday, Sept. 7, at the Clallam County Courthouse and via Zoom. See the project’s conditional use permit application at tinyurl.com/SEQmining.
The Gazette could not contact Kirner by publication deadline.
“They’re proposing something that’s going to destroy the environment for perpetuity,” Sequim resident Bill Robson said. “It’s never going to get fixed.”
During a July 30 meeting hosted at Elklandia Farm, more than 100 residents reportedly turned out to share their concerns with Clallam County commissioner Mark Ozias in attendance.
“I share all of the same concerns as the residents,” Ozias said in a later interview.
Ozias said that a resident at the meeting said this operation could be positive if there was a major need for the material being mined, but there isn’t one.
“I have since confirmed that, according to our own documentation, there is no apparent immediate need for the supply of this material,” he said.
According Ozias, there were questions about the application that were either not addressed or not fully addressed by the applicant, or by the staff’s determination of non-significance.
Sequim resident Marc Lawrence said he’s concerned about high number of heavy trucks navigating between people, bikes, and the existing traffic.
“I mean, there was no thought that was put out,” he said.
Robson said that Happy Valley Road is a small, two-lane county road off of U.S. Highway 101 that can be difficult for even cars.
“[The trucks] are going to destroy the road,” Robson said. “They’re going to destroy the habitat. It’s going to be crazy unsafe.”
Port Townsend resident Jay Garthwaite said he owns property near the site and there is a school bus route that is in the same place that these work trucks will be driving.
“Think about the inherent risk of traffic sharing,” Garthwaite said.
Residents, some of whom created a website (stopthehappyvalleypit.org) about the project, also shared their concerns over the safety of wells near the mining area.
“They’re going to be blowing into that basalt where all of this water is held for these homes on Bell Hill,” Lawrence said.
According to Robson, the mining site is also near the Johnson Creek salmon restoration project.
“They’re gonna put all this money at the bottom and then pour mining effluent down Johnson Creek,” Robson said.
The environmental checklist states work will be done within 200 feet of the creek, but there will be a 100-foot buffer.
According to the checklist, “the natural topography provides a barrier between the creek and pit area and this ridge will remain to protect the creek from stormwater from the pit.”
According to the conditional use permit application, the project will remove 4.7 acres of grass, weeds, brush and trees removed from the area being mined, and a 50-foot buffer of native vegetation will be maintained around the property boundary.
“As portions of the pit are reclaimed, stripped topsoil retained on site will be placed and the site seeded with grass to create a meadow,” the permit states. “Some natural germination of deciduous evergreen trees is anticipated in the reclaimed areas.”
