Proposed Happy Valley gravel pit project withdrawn

Published 1:30 am Wednesday, September 13, 2023

tsr
1/2
tsr
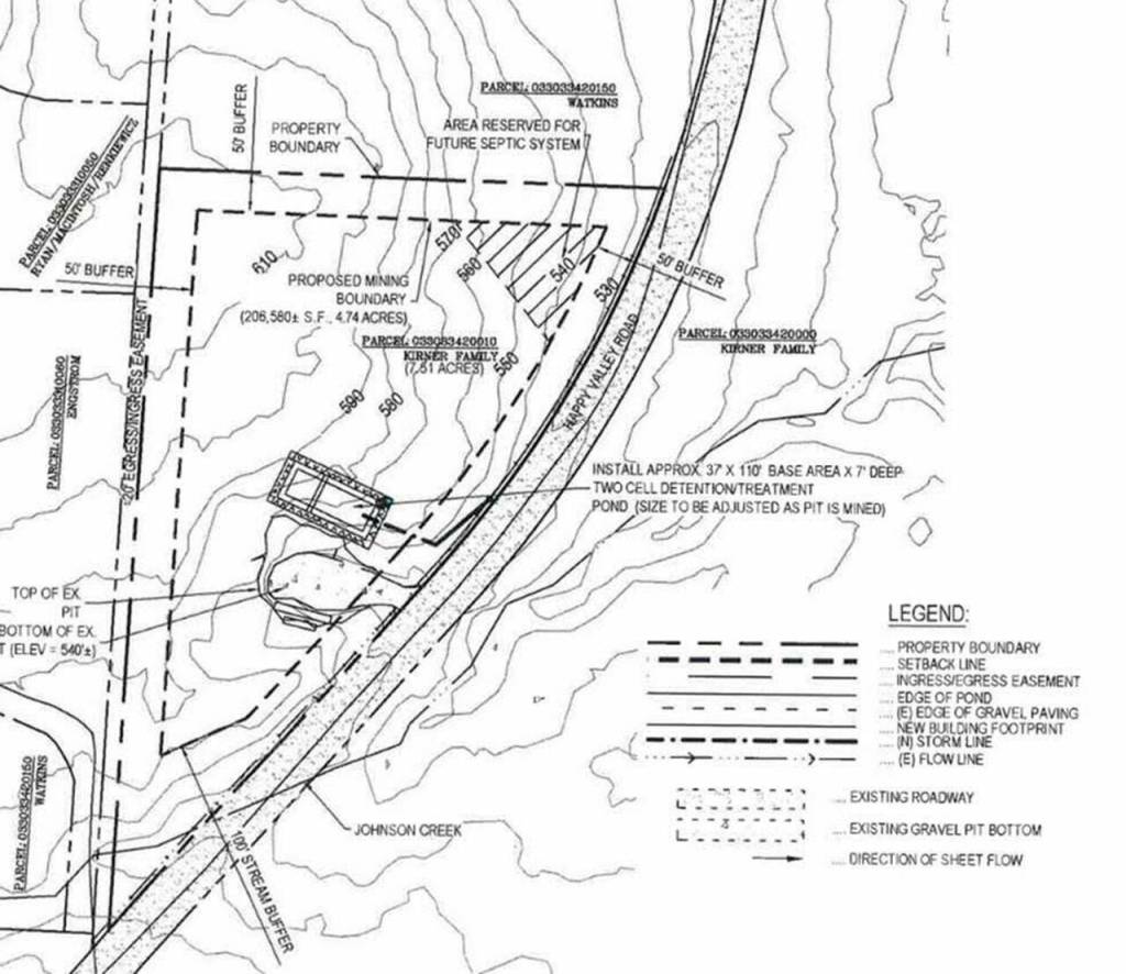
Map courtesy Clallam County
A proposed mining operation on Happy Valley Road was withdrawn on Sept. 6, a day before it was set to go before the Clallam County hearing examiner for review.

A Sequim applicant for a proposed gravel pit in Happy Valley withdrew his application Wednesday, Sept. 6, citing in a letter to Clallam County building officials that he, his family and business received threats over the project.

With the project withdrawn, a proposed Sept. 7 hearing before the Clallam County hearing examiner to consider the 4.74 acre basalt mine called Happy Valley Pit LLC was canceled.

According to Clallam County records, the project on the west side of Happy Valley Road and Johnson Creek going through its southern portion, proposed to extract about 214,000 cubic yards of material over five years, with a single-family home likely to be placed once the mining was finished.

It would have been open 7 a.m.-5 p.m. Monday-Friday with rock blasting proposed once per month, rock crushing on site about two days a week, and approximately 32 to 64 truck trips in and out per day as the site progressed, according to an August letter from project engineer Tracy Gudgel with Zenovic & Associates Inc. of Port Angeles.

The conditional use permit was submitted by J. David Kirner, co-manager of Kirner Family Real Estate LLC No. 2, on Feb. 2, and in his letter rescinding the permit on Sept. 6, he wrote his “family has owned and mined this land for decades, and we had hoped to sustain that legacy.”

His family also “expected to encounter some opposition … and to honorably defend our actions and convictions,” he wrote. “We fully expected to be rational with irrational individuals. We fully expected to come to a middle ground.”

However, he wrote they did not expect “extreme public defamation of our family’s character, and threats to our family’s way of life.”

Those included threats of boycott of his business, anonymous threatening letters to their home, and threats against his family’s life.

“Shots were fired from the public roadway into items upon my own home’s property, less than a few hundred feet of my front door,” Kirner wrote.

“This action was taken within hours after an article was aired on regional news channels about the application for the Conditional Use Permit.”

He added, “the application for the Conditional Use Permit was intended to continue to utilize the resources of our family land, consistent with the homesteading history of our community and land use in Clallam County.

“We never expected to receive these types of threats to our reputations and our lives.”

Kirner, reached via phone, said he wanted his letter to speak for itself and referred inquiries about gun shots to law enforcement.

PenCom, Clallam County’s 9-1-1 service, reports that there was a report of malicious mischief at Kirner’s Sequim residence on Aug. 24 with a resident reporting bullet holes in a vehicle.

Clallam County Sheriff’s Office reports that Kirner reported four bullet holes were “recently” shot into a yard art vehicle near his home, and that he just wanted it documented.

There are no reports on file with law enforcement about threats made to Kirner or his family, the sheriff’s office reported.

Residents’ responses

Kirner’s proposed project led neighbors to organize over many concerns, including traffic, environmental impact and other issues.

They held a meeting July 30 with more than 100 residents and Clallam County commissioner Mark Ozias in attendance, and some formed the website, stopthehappyvalleypit.org.

County building staff report they received nearly 200 letters concerned about the project prior to the planned public hearing about noise, dust, traffic, and general opposition to the proposal.

Of the approximate 390 pages of emails and letters, neighbors and Sequim area residents had concerns or were outright opposed to the project.

Diana Adamson, a spokesperson for Friends of Happy Valley, a coalition of area residents opposed to the project, wrote in a press release they “are thrilled that the application has been withdrawn (and) this proposal would have resulted in so many negative impacts, including impacts on traffic, dust, water wells, noise, and potential dangers to the environment of both humans and wildlife.”

As for the threats Kirner wrote about, Bryan Telegin, Friends of Happy Valley counsel, said the group “wishes to make known that they do not in any way condone threats, intimidation, defamation, or violence” toward Kirner and his family.”

“We wish him and his family well and hope they never experience such bad acts, now or in the future,” Telegin wrote.

Residents’ comments or questions to the county touched on the project’s impact on the environment, water quality, animals, traffic, health quality, noise, and more.

Jamie and Bill Goodwin of Bell Hill wrote that “the mine is not consistent and appropriate within the character of the valley neighborhoods.”

“The mine has been closed for nearly 40 years (and) in those years that followed, hundreds of families moved into the valley and around Bell Hill,” they wrote. “The character of the valley was rural, farming and had no large housing developments 40 years ago. That is just not true today.”

Sheryl Greer of Happy Valley Road requested an environmental impact assessment, and traffic study for interconnected roads to the project.

“In just five short years, it has become exceptionally hazardous getting onto 101 from Happy Valley and turning right onto Happy Valley from (U.S. Highway 101),” she wrote.

“Happy Valley is narrow, has no walkway, no bike lane, and a ditch for much of the road.

“This road is not a location for large trucks to be on safely.”

Avonlea Lawrence of Happy Valley Road shared her concerns for animals, noise, and air pollution.

“The noise, blasting at 7 am., I would not like to wake up to that,” she wrote.

“And going on bike rides I won’t be safe anymore. The dust pollution will be very unsafe, too, especially for people who have allergies and the animals.”

Principal Planner Donella Clark wrote in her Aug. 30 staff report that “this neighborhood has always been a vocal opponent to commercial and industrial uses, as is evident by the responses from the neighborhood in opposition to the proposal, and the opposition of the proposal due to the impacts to the road and the rural character.”

Recommendation

Clark recommended denying the project, writing that it conflicts with the county’s Comprehensive Plan and the area’s residential designation.

“Though mining is an important resource in Clallam County the size and location of the proposal does not appear to be an ideal location for a mining operation, especially with the need for crushing and blasting in such proximity to residential development,” she wrote.

Clark reports that one residence is within 600 feet of the proposed property, and with nearby residences at a greater density of one dwelling per 5.1 acres, the project wouldn’t be designated as mineral resource lands without a noise study.

“Historically, the development pattern in the Happy Valley area is residential, with Bell Hill exceeding the density of typical rural development,” Clark wrote.

She added that “there are no known measures that will eliminate or even reduce (operational sounds, in particular blasting, rock crushing and heavy equipment operations) to a level compatible with the existing residential character of this area.”

“The slopes of Bell Hill further reduce the effectiveness of vegetative buffering thereby suggesting that reasonable noise attenuation to an acceptable level is not possible,” she wrote.

“Therefore the conversion of this property as proposed would be in conflict with the policies of the Comprehensive Plan and the character of the neighborhood.”

Clark said the proposed traffic flow and rural character of the plan is unsupported in the Comprehensive Plan, and it would “introduce noise and other impacts that will directly conflict with the residential pattern and predominate use of the vicinity.”

In her report, some of the studies/permits she asked for would have included a traffic study, zoning conditional use permit, noise study, air permit, spill plan, stormwater pollution prevention plan,and more.

A Determination of Non-Significance (DNS) under the State Environmental Policy Act (SEPA) was issued with no significant adverse impacts to the area but Clark in her review would have required a 150-foot buffer from Johnson Creek rather than the classified 100 feet, and a habitat and wildlife survey to be reviewed by the Department of Fish and Wildlife.

In its project response, Fish and Wildlife staff wrote that there “does not appear potential impacts to wildlife species or habitats have been fully considered” with habitats and species records showing the presence of Roosevelt elk, little brown bat, yuma myotis, residential coastal cutthroat and trumpeter swans in winter.

Jamestown S’Klallam Tribal staff requested a 170 foot stream buffer to better accommodate the Sequim elk herd as they “lack a safe migration corridor due to continued development and Highway 101 and limits the herds ability to migrate and maintain healthy population.”