Hearing examiner approves Habitat’s townhome project
Published 4:30 am Wednesday, June 18, 2025
Habitat for Humanity of Clallam County’s “Sequim Avenue Development” townhome project has been approved by the City of Sequim’s hearing examiner.
Peregrin Sorter with Laminar Law shared his decision on June 6 with various conditions requested by the City of Sequim’s staff. Per city code, the public has 21 days (June 27) to appeal his decision for the conditional use permit and binding site plan.
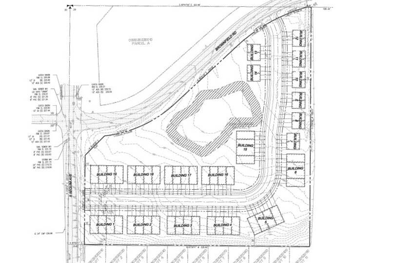
Habitat’s development includes 45 units including a combination of fourplex, triplex and duplex townhomes at the south intersection of South Sequim Avenue and East Brownfield Road.
Colleen Robinson, CEO of Habitat for Humanity, said they are hopeful to move forward and they don’t plan to appeal any of the conditions.
At a May 22 public hearing in the Sequim Civic Center, she said her agency is looking for “permanent affordability” using a land-lease model where homeowners own the structure above ground and Habitat retains the land; if homes go on the market, they must be sold to residents at or below 80% area median income.
According to city documents, staff wrote that the “proposed development would serve the public interest by adding much needed housing options to the local market, helping to address the community’s housing demand … (and) this housing option would bring more available housing to the city at a time when housing is scarce.”
Robinson said approval of a building permit could take up to six months if the binding site plan and conditional use permits go through. She said previously the “best case timeline” would be to start building homes in mid-2027.
Wetland
While Sorter approved the project for 48 homes, Robinson said that due to an approximate one-acre wetland on the site, they will build 45 homes to avoid building in its area.
City staff wrote that the buffer for this wetland would be 25 feet with a 15-foot setback but because the wetland was altered by agricultural activities and maintained as a pasture disrupting its natural features, the setback can be reduced so long as Habitat enhances the wetland.
According to city documents, two triplexes and a playground would slightly go into the setback, but Habitat officials plan to remove invasive species and plant native vegetation.
Entrance
Due to Habitat’s project and neighboring Bell Creek Estates Subdivision’s entrances being less than 125 feet apart on South Sequim Avenue, city staff require Habitat officials to either redesign their entrance or work with an engineer to write a request to the city on why the deviation is needed.
Nick Dostie, Sequim’s city engineer/deputy director of Public Works, said he is willing to work with Habitat officials on either plan and doesn’t foresee an issue with either option.
Robinson said they don’t plan to redesign the project’s entrance and they’ll work with an engineer.
Fences, walls
Following a concern from a neighbor, a fence will be required along the development’s eastern side to protect residents from an electric fence.
A proposed retaining wall on the southern boundary of the development will be designed and engineered by a licensed professional to account for surcharge load considerations, according to city documents, and prior to a site construction permit issuance, the retaining wall design must be submitted for review and approval by city staff to ensure it is compliant with applicable engineering and safety standards.
As one of the conditions for the binding site plan, Habitat must keep at least 43 feet between the property line and its structures on the south side of its property. At the public hearing, neighbors shared concern about the development infringing on their properties, to which Habitat’s consultant said would not be happening.
Community
Per city documents, the development will create 407 total average weekday, daily vehicle trips with no mitigation required.
At the hearing, city staff said a Six-Year Transportation Improvement Plan addresses concerns for Habitat and Bell Creek Subdivision’s impact on the South Sequim Avenue/U.S. Highway 101 eastbound left-turn intersection and that Habitat’s project would not make the intersection worse in the meantime.
According to city documents, Habitat’s project would provide two off-street parking spaces per unit and an additional 26 on-street parking stalls proposed on the northern and western portions of the city.
Despite objections from Habitat officials at the public hearing about the word “shall” due to its perceived subjectivity, Sorter kept verbiage the same for shared driveways.
His decision reads, “duplex and fourplex units shall consider utilizing shared driveways where feasible to minimize curb cuts and reduce potential traffic conflicts. Driveway access shall be designed to limit the number of curb cuts along the internal roadway while ensuring safe and functional access for all units.”
Sorter is also requiring a professional cultural resource survey before any land disturbance with written notification to the Jamestown S’Klallam Tribal Historic Preservation Office at least five business days before starting any archaeological survey, fieldwork, or ground-disturbing activities.
According to city documents, staff “determined that (Habitat’s) proposal would meet all applicable concurrency requirements and that there are adequate public utilities and services to serve the proposed development.”
They write that it would not generate noise, glare, or odors beyond that of a typical residential use.
Along with the Sequim Avenue Development, Habitat continues engineering work on its Lyon’s Landing project in Carlsborg too.
For more information about Habitat projects, visit habitatclallam.org.
