Habitat purchases Carlsborg property to build 45 homes
Published 1:30 am Wednesday, November 13, 2024
Following a continued effort to build in the City of Sequim at its Brownfield Road property, Habitat for Humanity of Clallam County leaders plan to build even more affordable homes in the Sequim area.
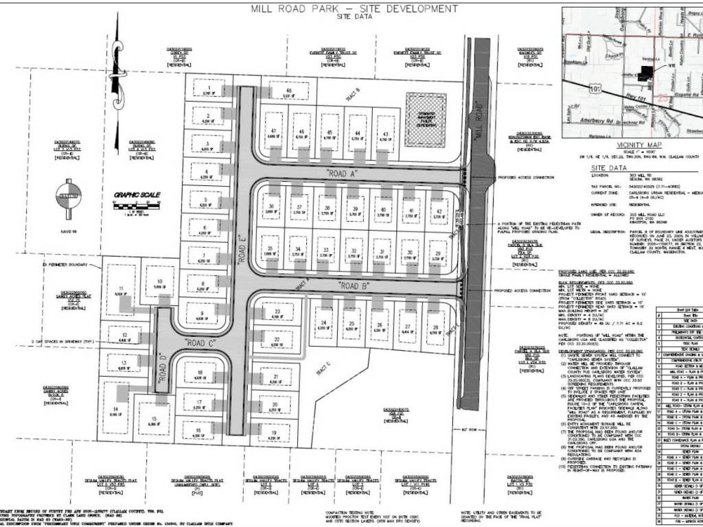
On Oct. 28, chief executive officer Colleen Robinson agreed to purchase 7.7 acres at 303 Mill Road in Carlsborg, north of Sunny Farms, for $1.93 million with a goal to build about 45 homes.
Habitat’s potential homes could range from two-bedroom duplexes to two-story four bedroom homes, she said.
“They won’t be cookie cutter,” Robinson said.
She said the location is great for walking to the grocery store and bus stop.
Site planning was done by the previous property owner Logan and Development Inc. of Kingston, Robinson said, and she’s consulted with Clallam County staff about development viability.
Robinson said she’s excited about the opportunities it could present for the area but she’s also pragmatic knowing that funding the homes and fundraising will be critical.
She said, “in a perfect world” they’d break ground in mid-2026 on the first home.
Future homeowners will contribute “sweat equity” during construction of each home, and 20% of the homes will be available for households earning up to 120 percent of Clallam County’s area median income (AMI) and the other 80% of homes will be available for homes at 80% or less of the AMI.
Lyon’s Landing
In May, developer Logan Hammon of Logan and Development Inc. approached Habitat’s staff and board of directors about selling the property to become workforce housing, and Robinson said she proposed financial options the following month to her board to make the purchase viable.
The board agreed and with an $854,000 bequest from Frances J. Lyon of Sequim, and the rest from a loan through First Fed, Robinson signed off on the property in October.
Robinson said to honor Lyon, they’ll name the property Lyon’s Landing.
Lyon, who died in September 2023, also bequeathed $850,000 to the Sequim Prairie Grange, with funds supporting a new roof and fixing the building’s foundation so far.
According to friends, she was born in California in June 1925, married John H. Lyon in 1944, and they had two daughters and went on to move to Japan where John was a private airline pilot and engineer.
The couple moved to a 20-acre farm in Carlsborg in the early 1970s where they grew their own food and raised cattle, until John’s passing in 1990. Lyon moved into Sequim and lived to be 98. She is survived by one daughter, five grandchildren, numerous great-grandchildren and several cousins.
Brownfield Road
Habitat and local officials had a groundbreaking ceremony on the Brownfield Road property at the southeast corner of East Brownfield and South Sequim Avenue in July 2023. Its application was also set to go before the city’s hearing examiner in February 2024. However, it was put on hold due to various factors, including staff turnover and officials working out site issues, such as a portion being delineated a wetland.
Originally estimated at 50 homes, the property is now proposed to be 44 duplexes and four-plexes, Robinson said.
Lindsey Sehmel, Sequim’s community and economic development director, said Habitat staffers have submitted a new application packet and city staff are reviewing it for completeness during a 28-day review period.
She said they are hopeful to have a tentative hearing examiner review date in January 2025.
The Brownfield Road has received many grants in recent years, including a $2 million Connecting Housing to Infrastructure Program (CHIP) grant through the Washington State Department of Commerce to help fund utility infrastructure costs for the project.
In October 2022, the Sequim City Council unanimously voted to allow for multi-family zoning within Sequim city limits, allowing for increased density, which “significantly increases” the number of homes that can be built on the property, Habitat officials said.
Robinson did not have a tentative date for construction on Brownfield Road.
For more information about Habitat for Humanity of Clallam County, visit habitatclallam.org or email to colleen@habitatclallam.org.
